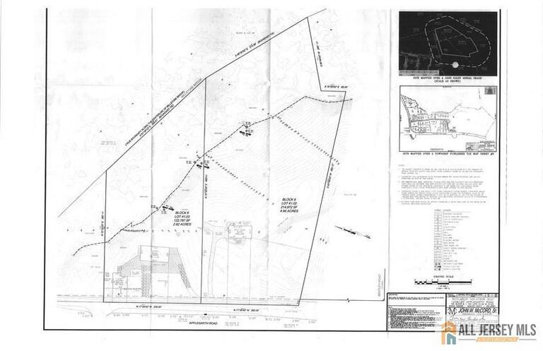
123 Applegarth Road, Monroe NJ 08831

Property City
Monroe
Property Media
Property
Property
Property
Property
Property
Property
Property Price
$1,275,000
Rooms
8
Bedrooms
4
Bathrooms
3
Tax Annual Amount
$14502
Lot Size Area
4.6
MLS Status
Active
MLS #
2660861M
Prime 4.6-acre property located on highly traveled Applegarth Road in Monroe Township's HD (Highway Development) Zone. The site currently features a single-family residence and offers excellent redevelopment potential for a variety of permitted commercial and mixed-use applications. Excellent exposure along Applegarth Rd, a major Monroe corridor.
Days On Market
21
Property Location

40.2728244, -74.4709031

Geo Lat Long Proximity (field_pro_lat_long)
Units: Miles
Origin Coordinates
Value in decimal degrees. Use dot (.) as decimal separator.
buynjhome Jagdeep

Jagdeep Singh

+1(848)242-6762